La Secretaría de la Defensa Nacional (Sedena) informó que rescató a un menor con vida de un domicilio ubicado en la colonia Loma Bonita, municipio de Xalapa, Veracruz; inmueble que se vio afectado por un deslave, tras el paso del huracán Grace. Las intensas lluvias ocasionadas por el impacto del huracán en Veracruz provocaron el […]
Etiqueta: grace
Puerto Morelos recupera su imagen urbana y turística
Puerto Morelos.- Apenas unos días después del paso del huracán "Grace" por Quintana Roo, Puerto Morelos recuperó este fin de semana su imagen urbana y turística, señaló el director de Servicios Públicos, Luis Cardeña Peña. Puerto Morelos recupera su imagen urbana y turística Sostuvo que con intenso trabajo por parte de las cuadrillas de Servicios […]
Deslave de cerro en Xalapa sepulta a cinco niños ya la mamá
El deslave de un cerro en Xalapa, Veracruz, sepultó a cinco menores de edad y su mamá; sin embargo, tras los esfuerzos, estos miembros de una familia fallecieron. De acuerdo a los primeros reportes, tras el paso de ÔÇÿGraceÔÇÖ por territorio mexicano, un cerro se deslavó, esto ocasionó que pedazos de tierra sepultaran a cinco […]
'Grace' se debilita; será sábado lluviosos en Quintana Roo y resto del país
La mañana de este sábado el huracán ÔÇÿGraceÔÇÖ se debilitó a categoría 1 al ubicarse en tierra, a 20 km al este-sureste de Tulancingo, Hidalgo, y a 100 km al este noreste de la Ciudad de México. Germán Santoyo, director general de la Comisión Nacional del Agua (Conagua), indicó que ÔÇÿGraceÔÇÖ recorrerá este sábado el […]
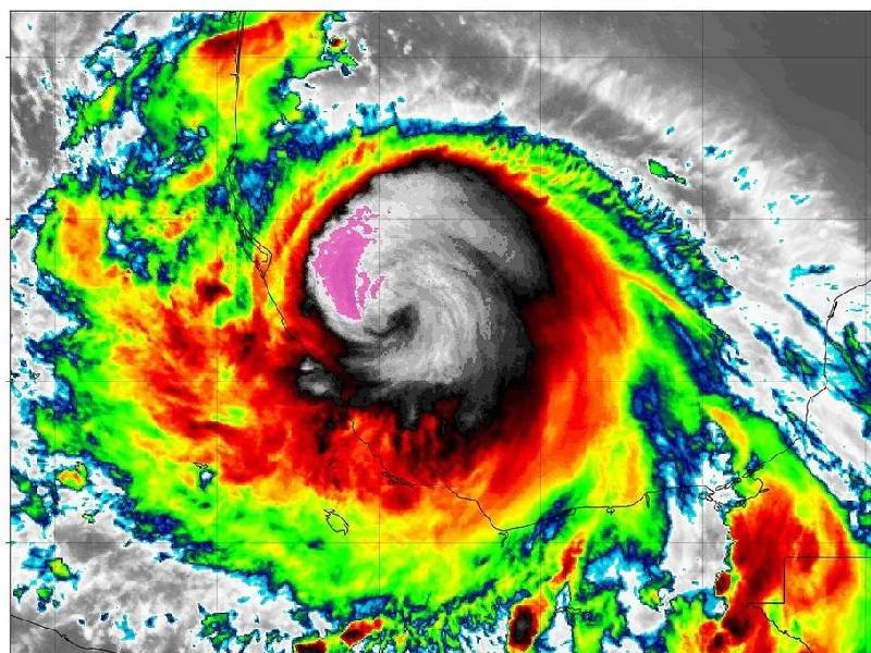
El Huracán Grace se intensifica a categoría 3 e impactará en la costa norte de Veracruz
La CONAGUA ha compartido que en las últimas horas el Huracán Grace se intensificó a categoría 3.
ÔÇÿGraceÔÇÖ podría impactar esta noche en costas de Veracruz como huracán categoría 2
Grace tocará tierra por segunda ocasión en costas mexicanas entre las 21:00 horas y las 24:00 horas de este viernes como Huracán categoría 2
Piden apoyo para unas 500 familias damnificadas por "Grace"
Unas 150 casas de la comunidad de Cacao, en este municipio, quedaron bajo el agua por al menos 24 horas, debido al paso del huracán "Grace"
Secretaría de Seguridad Pública Federal destaca descenso en delitos
Los delitos del fuero federal registraron en los últimos meses una reducción de 27.8 por ciento, respecto al último año del gobierno anterior
Unidades deportivas de Cancún con poca afectación tras paso de huracán "Grace"
Instalaciones deportivas en el municipio de Benito Juárez sufrieron pocos daños por las lluvias y fuertes vientos que provocó el paso del huracán "Grace"
Tormenta ÔÇÿGraceÔÇÖ podría impactar esta noche en costas de Veracruz
Durante la noche de este viernes y madrugada del sábado se prevé que la tormenta ÔÇÿGraceÔÇÖ impacte en las costas de Veracruz.
