• Quintana Roo
  • Municipios
  • Nacional
  • Mundo
  • Negocios
  • Política
  • Deportes
  • Vida+
  • Opinión
  • Facebook
  • X
  • Instagram
  • Youtube
  • TikTok
  • issuu
Saltar al contenido
  • Facebook
  • X
  • Instagram
  • Youtube
  • TikTok
  • issuu
Diario 24 Horas Quintana Roo

Diario 24 Horas Quintana Roo

El diario sin límites

  • Quintana Roo
  • Municipios
  • Nacional
  • Mundo
  • Negocios
  • Política
  • Deportes
  • Vida+
  • Opinión
Home » dónde va huracán ERick

Etiqueta: dónde va huracán ERick

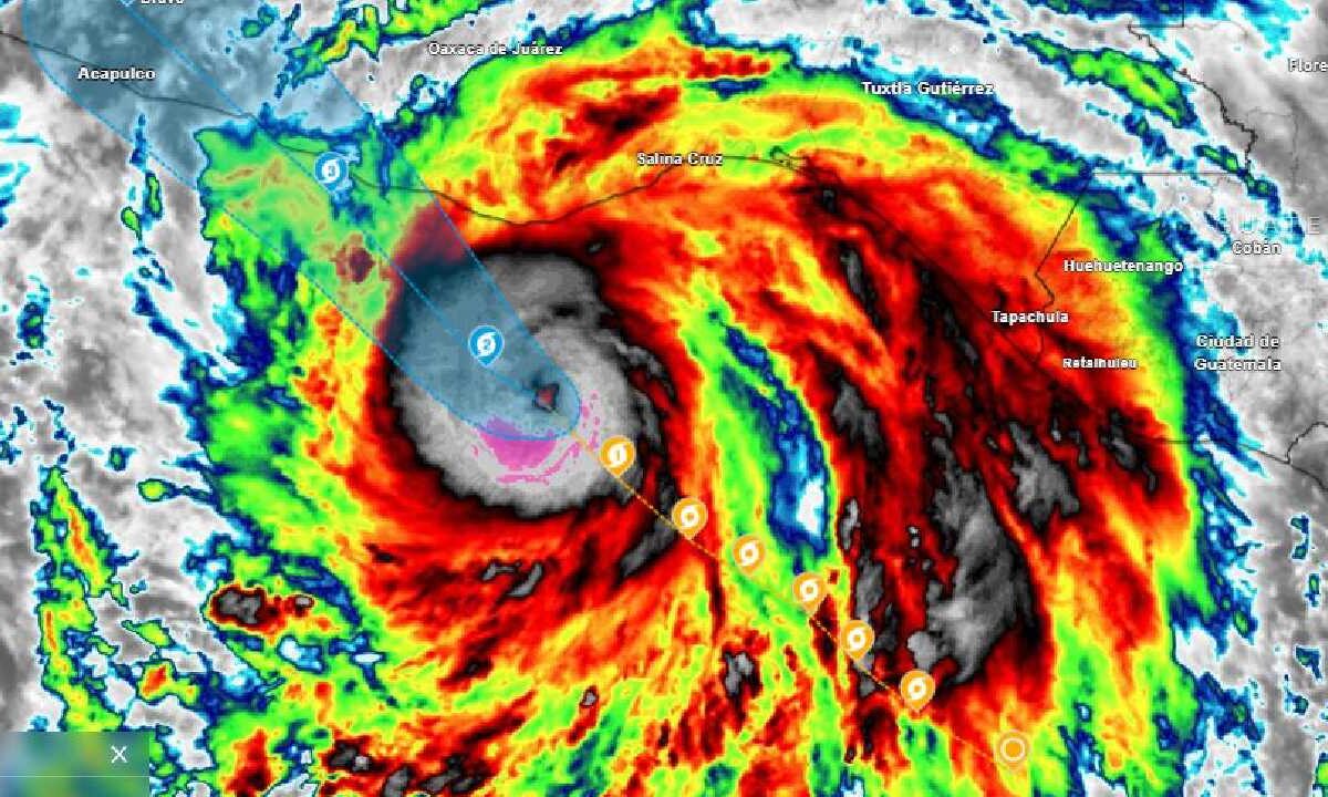
Huracán Erick cobra fuerza.
Publicado enNacional

Huracán Erick se fortalece a categoría 2 y podría impactar México como 3

Foto del avatar por 24 Horas Q. Roo junio 18, 2025junio 18, 2025

El huracán Erick continúa intensificándose y ya alcanzó la categoría 2, informó este miércoles el Centro Nacional de Huracanes.

Ultimas Notas

  • De eso se trata tocar vidas, con el apoyo del Sistema DIF-Quintana Roo, dice Mara Lezama al supervisar Craadyr Cozumel
  • ¡Justicia! Dan 50 años de prisión a un sujeto por violación de menor en Cancún; otro es vinculado a proceso
  • Motociclista pierde la vida tras sufrir aparatoso accidente en la zona hotelera de Cancún
  • Ubican y desmantelan en 5 municipios de Quintana Roo 9 puntos de venta de drogas; detienen a 4 personas
  • Adán Augusto deja coordinación de senadores de Morena y se enfoca en trabajo territorial rumbo a 2027
  • Facebook
  • X
  • Instagram
  • Youtube
  • TikTok
  • issuu
  • Directorio
  • Contacto
  • Aviso de privacidad
  • Manual de prácticas
  • Publicidad
© 2026 Información Integral 24/7, S.A.P.I. de C.V. Powered by Newspack