El huracán Erick continúa intensificándose y ya alcanzó la categoría 2, informó este miércoles el Centro Nacional de Huracanes (NHC, por sus siglas en inglés).
Asimismo, el fenómeno se encuentra a 165 kilómetros al sur de Puerto Ángel, Oaxaca, y se prevé que podría tocar tierra como huracán categoría 3 en las próximas horas.
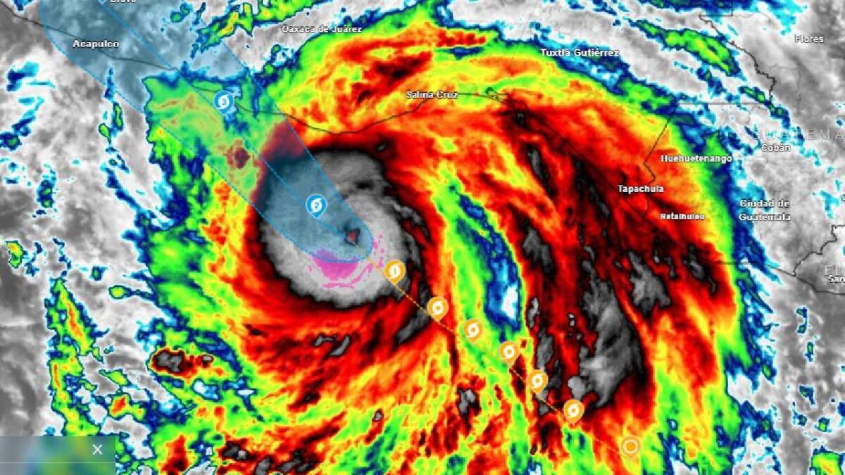
🚨🌀IMPORTANTE: #Erick SE FORTALECE Y YA TIENE SU OJO
— 🍁🌧️Meteorología México🥶❄️ (@InfoMeteoro) June 18, 2025
Ubicación: 205 km de Puerto Ángel
Viento: 140 km/h, incluso mayor
Desplazamiento: noroeste a 13 km/h
🔴🌧️Seguirá aumentando fuerza será HURACÁN MAYOR cat 3 antes de ingresar a tierra entre Oaxaca y Guerrero mañana jueves con… pic.twitter.com/UC6Jpf92OD
TE PUEDE INTERESAR: Cierran el puerto de Chiquilá por el mal tiempo y para seguridad de los pescadores
Huracán Erick podría intensificarse a categoría 3
La NHC Pacific advirtió que Erick mantiene un proceso de intensificación rápida y continua, por lo que se espera que llegue a costas mexicanas como un huracán mayor.
Minutos después, la Comisión Nacional del Agua (Conagua) y el Servicio Meteorológico Nacional (SMN) confirmaron esta información.
Actualmente, Erick se desplaza con fuerza hacia la costa sur de México, donde ya se activaron protocolos de seguridad por parte de autoridades estatales y de Protección Civil.
#Erick continues to strengthen and is now a category 2 hurricane. Continued rapid intensification is expected today, and Erick is forecast to approach the coast of Mexico as a major hurricane.
— NHC Pacific (@NHC_Pacific) June 18, 2025
More info: https://t.co/pWYHWBUHEk pic.twitter.com/VkezowDsP6
TE PUEDE INTERESAR: Trágico accidente en Cancún deja un muerto tras choque contra árbol en la Ramal Norte
Lluvias extremas y rachas de viento azotarán el sur del país
Conagua alertó que Huracán Erick provocará lluvias extraordinarias en Oaxaca y torrenciales en Chiapas y Guerrero, además de fuertes rachas de viento y oleaje elevado.
Según los pronósticos, el fenómeno natural podría tocar tierra durante las primeras horas del jueves 19 de junio.
El llamado a la población es mantenerse informada a través de fuentes oficiales, seguir las recomendaciones de Protección Civil.
Finalmente, extremar precauciones ante posibles deslaves, inundaciones y cortes de energía.

